1490 Cameron Lane, Merced, CA

$549,000

Previous Next

2

Beds

1

Bath

1,008

Square feet

1.97

Acres

About 1490 Cameron Lane

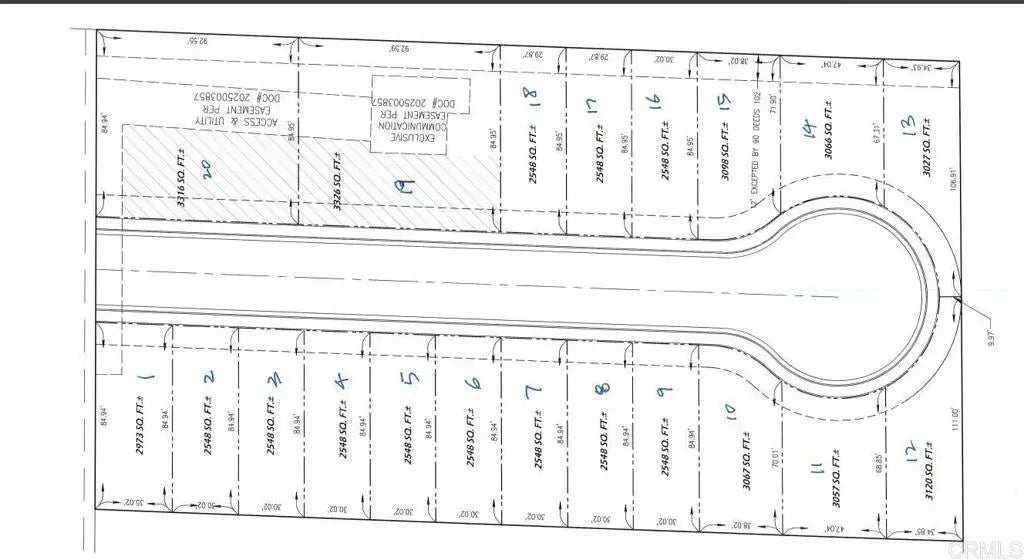
Builder & Investor Opportunity with preliminary engineering indicating potential for a minimum of 17 buildable single-family lots + ADU's. Nearly 2-acre infill parcel located in an established Merced neighborhood. The property includes an existing 2-bedroom, 1-bath single-family residence and is currently zoned R-1-10. The site offers flat, usable topography, nearby utilities, and a desirable infill setting surrounded by existing homesan ideal foundation for a residential development project. Conveniently located near schools, shopping, and major transportation routes, 1490 Cameron Lane is well positioned for both near-term development and long-term value. Buyer to verify zoning, density, and development potential with the City of Merced.

Features of 1490 Cameron Lane

MLS® # PTP2600886
Price $549,000
Bedrooms 2
Bathrooms 1.00
Full Baths 1
Square Footage 1,008
Acres 1.97
Year Built 1920
Type Residential
Sub-Type All Other Attached
Status Active

Community Information

Address 1490 Cameron Lane
Area MERCED (95340)
City Merced
County Merced
State CA
Zip Code 95340

Amenities

Parking Spaces 1
# of Garages 1
View Other/Remarks
Is Waterfront No
Has Pool No
Pool N/K

Interior

Cooling Other/Remarks
Fireplace Yes
Fireplaces Other/Remarks
# of Stories 1
Stories 1 Story

Additional Information

Date Listed February 4th, 2026
Days on Market 1
Zoning r-1-10
Foreclosure No
Short Sale No
RE / Bank Owned No

Listing Details

OfficeThe Local Realty Inc.

Listing Map

Request a Showing

Provide a valid email address.
When would you like to view this property?