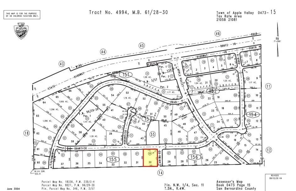
Quantico Rd, Apple Valley, CA

$152,000

Previous Next

0.76

Acres

About Quantico Rd

Remarkable Opportunity for sale. 0.76 Acres of vacant land, Zoned Multi-Family, on Quantico Road in Beautiful Apple Valley, California. APN: 0473-155-08. Located just 90 miles from Los Angeles and 190 miles to Las Vegas is the beautiful and rapidly-developing high desert community of Apple Valley, California. This is your opportunity to own approximately 3/4 of an acre of land zoned multi-family in a prime area of Apple Valley just minutes from a Starbucks, multiple restaurants, a medical center and shopping and just 7 miles from the city of Victorville. For less than the cost of land to build one home in Los Angeles, you have the opportunity to build up to 14 apartment units. Water, electricity and gas are right at the street! Unlimited potential on a rare corner lot only about 10 blocks from Highway 18 and only a few miles to Highway 15. Perfect for commuters! Beautiful Apple Valley is one of the last few affordable building locations in Southern California and it is rapidly being developed. Buyer to verify all information contained herein. Agent and their representatives are not responsible for the accuracy of these claims

Features of Quantico Rd

MLS® # HD25195145
Price $152,000
Acres 0.76
Type Land
Sub-Type Lots/Land
Status Active

Community Information

Address Quantico Rd
Area APPLE VALLEY (92307)
City Apple Valley
County San Bernardino
State CA
Zip Code 92307

Amenities

Is Waterfront No
Has Pool Yes

Interior

Fireplace Yes

Additional Information

Date Listed August 29th, 2025
Days on Market 7
Foreclosure No
Short Sale No
RE / Bank Owned No

Listing Details

OfficeNAI Capital, Inc.

Listing Map

Request a Showing

Provide a valid email address.
When would you like to view this property?