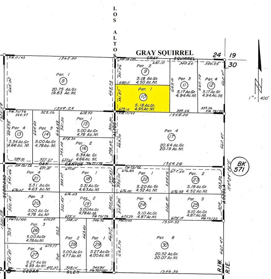
10 Gray Squirrel Lot 10, Hemet, CA

$37,500

Previous Next

5.18

Acres

About 10 Gray Squirrel Lot 10

DO NOT CONTACT SELLER AT SELLERS REQUEST. Lot #10. Two lots South off Gray Squirrel & on East side of Los Altos. Property is reached by dirt rd, approx 1.25 miles off the paved road & at seasonal times needs a suitable vehicle to get to. Buyer to do their own due diligence/investigations regarding lot lines, utilities & any other conditions that may affect vacant land. Located in SE Hemet. Sellers very motivated & wants it sold! Will review all offers. In the past few years land in this area has been in high demand. Bring your picky buyers & they will fall in love. Temecula wine country land gets more expensive; this area is up & coming for those who want privacy & plenty of elbow rm. Dont get left out & miss the opportunity to own land as an investment or to build your dream home. There are now enough owners in the vicinity to make a deal with the city for services to happen faster, so let's make a deal! Property is a blank canvas awaiting your vision, a unique opportunity to create a custom living space or business venture. Lot Features: Value in Land, City light views, w/varied terrain, rolling hills, & drainage ravines. Accessible. Fast developing area. Secluded & private. Vws of surrounding mtns & valleys. Minutes away from Temecula Wine Country, Pechanga Casino & Resort, & Old Town Temecula, Temecula Golf & Ctry Club, Moon Valley Nurseries Farm, Glen Oaks, Global Sport Horse Stables, Owl Creek Farm, Sale Ranch Sanctuary, Sage. Perfect getaway with plenty of rm for RV or place a manf home. Propane, Well Water & Septic Area. Don't get left out. Bring quads, & all your t

Features of 10 Gray Squirrel Lot 10

MLS® # OC24046224
Price $37,500
Acres 5.18
Type Land
Sub-Type Lots/Land
Status Active

Community Information

Address 10 Gray Squirrel Lot 10
Area RIV CTY-HEMET (92544)
Subdivision Southwest Riverside - Hemet
City Hemet
County Riverside
State CA
Zip Code 92544

Amenities

Utilities Electric,Propane
Is Waterfront No
Has Pool Yes

Interior

Fireplace Yes

Exterior

Lot Description Corner Lot

Additional Information

Date Listed March 6th, 2024
Days on Market 584
Foreclosure No
Short Sale No
RE / Bank Owned No

Listing Details

OfficeMerlin Investments

Listing Map

Request a Showing

Provide a valid email address.
When would you like to view this property?