E 60th, Los Angeles, CA

$3,000

Previous Next

0.02

Acres

About E 60th

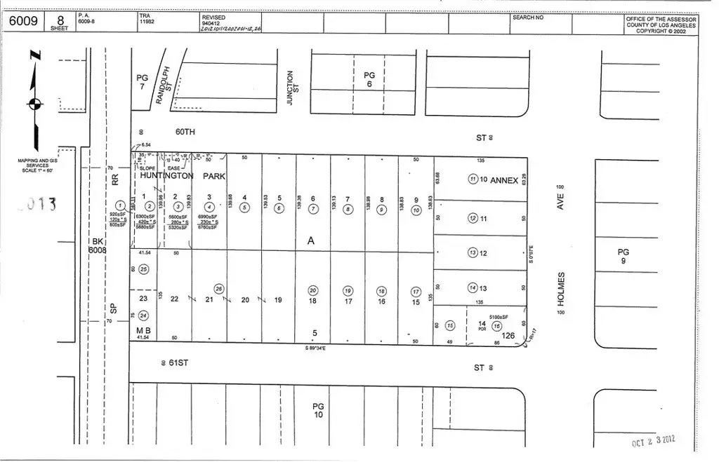
Unique Los Angeles infill land investment! This 0.02-acre micro-lot in Huntington Park Annex is available for just $3,000. Previously sold for $125,000 in 2021, the parcel presents a speculative opportunity for assemblage, utility use, or land banking. With frontage along a subdivision street, this flat 959 sqft parcel sits in a dense residential area of Los Angeles with convenient access to downtown, South LA, and public transit. Zoned residential, this property is not suitable for standalone building but provides affordable entry into LAs land market.

Features of E 60th

MLS® # OC25225731
Price $3,000
Acres 0.02
Type Land
Sub-Type Lots/Land
Status Active

Community Information

Address E 60th
Area LOS ANGELES (90001)
City Los Angeles
County Los Angeles
State CA
Zip Code 90001

Amenities

Is Waterfront No
Has Pool Yes

Interior

Fireplace Yes

Additional Information

Date Listed September 25th, 2025
Days on Market 1
Foreclosure No
Short Sale No
RE / Bank Owned No

Listing Details

OfficeDalton Real Estate

Listing Map

Request a Showing

Provide a valid email address.
When would you like to view this property?