Lindell, Lake Elsinore, CA

$399,000

Previous Next

80.00

Acres

About Lindell

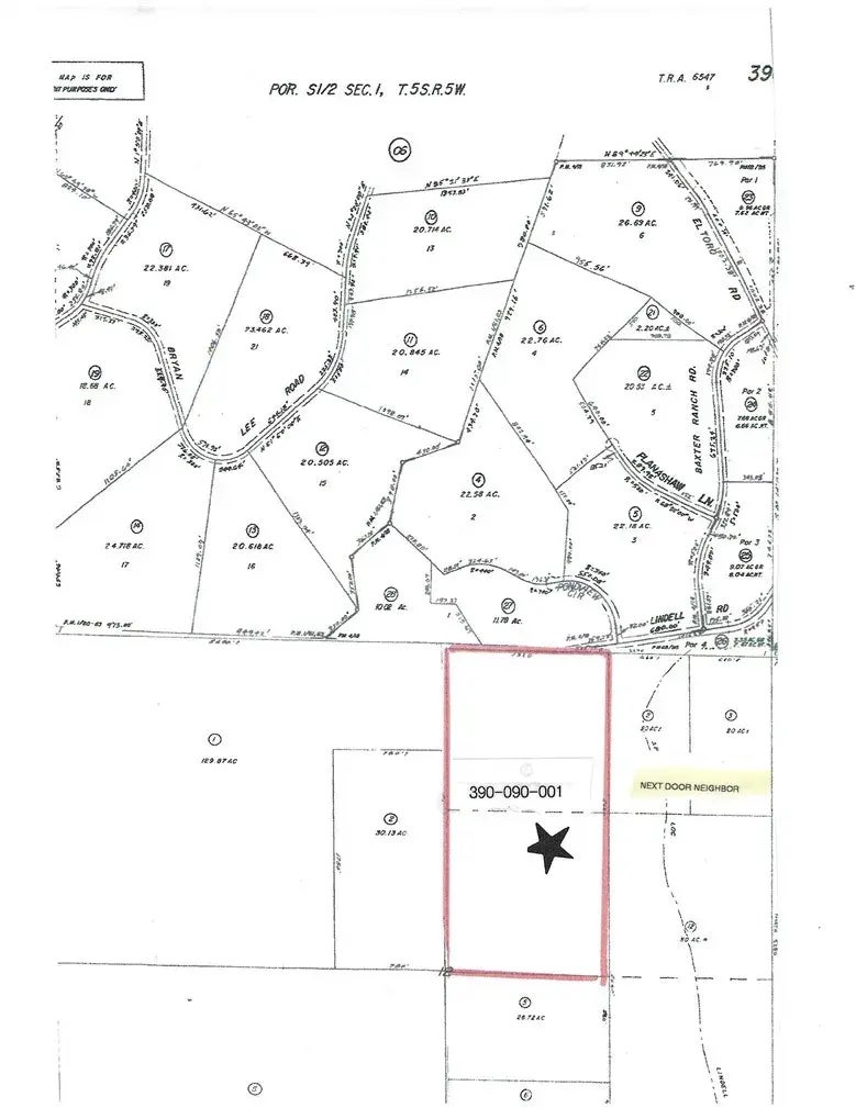
WOW! 80 ACRES LEVEL, $4,988 AN ACRE! ROLLING, LEVELISH, AND HILLY WEST OF EL TORO ROAD AND SOUTH OF BAXTER RANCH ROAD. IT APPEARS THE ASSESSOR MAP AND THE AERIAL MAP HAVE DIFFERENT LOCATIONS OF LINDELL ROAD AS THE AERIAL MAP HAS LINDELL RUNNING THROUGH THIS 80-ACRE PARCEL AND THE ASSESSOR MAP HAS L INDELL ROAD NEXT TO 80 ACRES. SEE MAPS. THERE IS A MOBILE/MANUFACTURED HOME ON TWO 20-ACRE PARCELS NEXT TO THESE 80 ACRES. LEGAL ADDRESS IS 25010 STOVEPIPE CANYON ROAD, LAKE ELSINORE, CA. STOVEPIPE AND LINDELL APPEAR TO BE THE SAME ROAD. EACH 20-ACRE PARCEL NUMBER AND ADDRESS IS 390-090-002 AKA 25010 STOVEPIPE AND 390-090-003 AKA 25020 LINDELL. HOMES COST WAY MORE THAN THESE 80 ACRES. THIS IS A VERY PEACEFUL AREA GREAT FOR THOSE WHO WOULD LIKE TO BUILD A HOME AND DEVELOP A PLANNED RANCHERO OVER THE YEARS. SELL 10 OR 20, EVEN 30 OR 40 ACRES A LITTLE AT A TIME FOR GOOD PROFIT AND MAKE MORE IMPROVEMENTS TO THE RANCHERO. THERE IS ALSO GREAT POTENTIAL FOR AN INVESTOR LOOKING TO HOLD OR SUBDIVIDE THESE 80 ACRES IN THE PATH OF GROWTH. MANY POSSIBILITIES. PLEASE USE MAPS IN SUPPLEMENTS AND THE NEIGHBOR'S ADDRESSES.

Features of Lindell

MLS® # SW24200334
Price $399,000
Acres 80.00
Type Land
Sub-Type Lots/Land
Status Active

Community Information

Address Lindell
Area RIV CTY-LAKE ELSINORE (92532)
City Lake Elsinore
County Riverside
State CA
Zip Code 92532

Amenities

Utilities Electric
Is Waterfront No
Has Pool Yes

Interior

Fireplace Yes

Additional Information

Date Listed September 25th, 2024
Days on Market 338
Foreclosure No
Short Sale No
RE / Bank Owned No

Listing Details

OfficeRealty Center, Inc.

Listing Map

Request a Showing

Provide a valid email address.
When would you like to view this property?